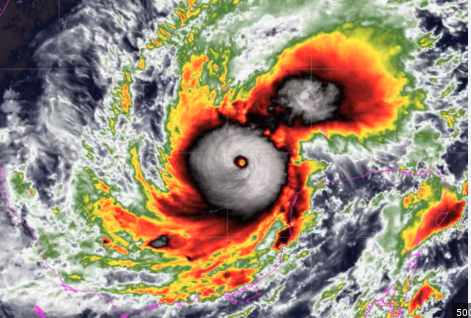
El 18 d’octubre de 2024 l’Huracà Milton va ser un fenomen tropical extremadament poderós i devastador. Es va formar a les aigües càlides del Carib i es va convertir en el 2 fenomen més intens de l’atlàntic mai registrat. Va tenir una força de categoria 4. Va ser un fenomen lent, és a dir, va trigar més en les zones afectades provocant danys devastadors.
Aquest huracà va afectar principalment a la costa oest dels Estats Units amb vents de 280km i pluges molt fortes /h. Va afectar molt a Florida, Geòrgia i Carolina del Nord i Carolina del Sud. Va provocar greus inundacions, talls d’electricitat i grans danys a cases i edificis. Les autoritats van demanar que més d’un milió de persones marxessin de casa.
Va provocar que els equips d’emergència treballessin contra rellotge, per poder rescatar aquells que s’havien quedat atrapats. A tots els estats de la costa els havien avisat una setmana abans de l’huracà, però ningú s’hagués imaginat que seria així de fort.
Això va tenir molt impacte econòmic que poden arribar als milers de milions de dòlars L’huracà Milton finalment va acabar el 10 de octubre de 2024, i va deixar una marca molt gran per als Estats Units.



